GLEDAJTE KAKO IZGLEDA CENTAR MONSTRUOZNE OLUJE! Na pomolu JEZIVO UNIŠTENJE, već ima mrtvih i nestalih
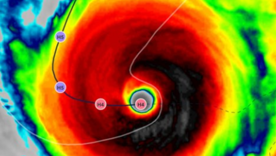
Uragan Melisa naglo je ojačao tokom vikenda i sada je dostigao kategoriju 5 sa vetrovima koji duvaju brzinom od 260 kilometara na sat. Nacionalni centar za uragane (NHC) upozorava da će Melisa pogoditi Jamajku u utorak ujutru kao najjači uragan koji je ikada pogodio ostrvo. Do sada je ovaj zloglasni rekord držao uragan Gilbert iz 1988. godine, sa udarima vetra do 210 km/h.
Uragan Melisa se formirao kao skup grmljavinskih oblaka na zapadnoj obali Afrike, a zatim prešao Atlantik i prerastao u tropsku oluju severno od Venecuele 21. oktobra. Očekuje se 380 do 760 milimetara kiše, dok bi neke oblasti južnog Haitija i Jamajke mogle da budu na udaru više od 1.000 milimetara kiše. Uragan se kreće veoma sporo, brzinom od samo nekoliko kilometara na sat, što povećava rizik od dugoročnog uništenja.
Preti veliko uništenje, ima mrtvih i nestalih
- Odmah potražite sklonište. Destruktivni vetrovi i obilne padavine tokom nedelje i ponedeljka će izazvati katastrofalne poplave i brojna klizišta pre nego što najjači udari vetra stignu u ponedeljak uveče i utorak ujutro - naveli su iz NHC.
Melisa već donosi nevreme, obilne kiše i tropske oluje na Haitiju, gde se očekuju poplave i klizišta sa potencijalno smrtonosnim posledicama. Prema najnovijim izveštajima, najmanje tri osobe su poginule na Haitiju, a četvrta u Dominikanskoj Republici, gde se još jedna osoba vodi kao nestala.
Meteorolozi predviđaju da će Melisa zadržati svoju destruktivnu moć i napredovati vrlo sporo prema Karibima u narednim danima, povećavajući rizik od dugotrajnih poplava i razaranja. Melisa bi tada mogla da pogodi jugoistočnu Kubu, gde se slična količina padavina očekuje od utorka uveče do srede.
Oluja donosi obilne padavine
Činjenica da je ovaj uragan netipično spor je dodatni problem.
- Nijedno područje neće biti pošteđeno razorne moći ovog uragana. Oluja će se zadržati na istom području, donoseći obilne padavine - upozorili su iz meteorološke službe Jamajke.
BONUS VIDEO
PROČITAJTE KLIKOM OVDE NAJVAŽNIJE AKTUELNE VESTI

Komentari (0)